Cayman: Temporary Driveway alignment off Crewe Road (CUC RDBT) by Kings Gym

The National Roads Authority (NRA) wishes to announce a temporary driveway alignment off the CUC Roundabout to Kings Gym to be opened on Monday December 15th 2025.
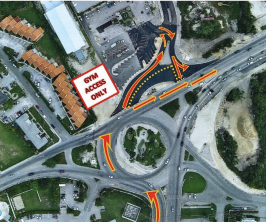
Please see below schematic showing the change in access to the gym off of the CUC Roundabout. Please note that the project remains incomplete, with ongoing roadworks scheduled to continue in the new year.
Drivers are strongly encouraged to exercise caution while travelling through the area. It is essential to adhere to the posted speed limits, pay close attention to traffic signage and remain vigilant for workers who may be present on or near the road.
The NRA extends its gratitude to the public for their cooperation and patience as this project continues. For more information and to stay up to date with our latest projects and developments, visit us at https://www.caymanroads.com.






